熱線:021-66110810,66110819
手機:13564362870

熱線:021-66110810,66110819
手機:13564362870
Rearing and Experimental Uses of Daphnia: Controlling Animal Nutrition and Assessing Lifespan and Life-History Traits
水蚤的培養與實驗應用:控制動物營養及評估壽命與生活史特征
來源:Current Protocols, Volume 4, Article e1064 (2024)
《當代實驗方案》,第4卷,文章編號e1064(2024年)
摘要內容:
本文系統闡述了以水蚤(Daphnia)為模式生物研究衰老和壽命的實驗方法。水蚤因其壽命短(50-100天)、培養成本低、生理過程透明可見等優勢,成為替代哺乳動物的理想衰老研究模型。論文詳細提供了水蚤的標準化培養流程,包括藻類食物培養、水蚤種群維持、營養控制、壽命監測及健康指標評估。重點強調了營養標準化對實驗可重復性的關鍵作用,并整合了心率、呼吸速率、生長率和繁殖力等多維度健康指標的測量技術。
研究目的:
建立水蚤實驗室培養和實驗操作的標準化流程,通過精準控制營養條件,實現對水蚤壽命、代謝和繁殖等健康指標的定量評估,為衰老機制研究和環境毒理學提供可靠模型。
研究思路:
營養基礎構建:通過培養高營養藻類(如Tetradesmus)作為食物源,優化COMBO培養基配方(表2)。


種群維持:建立"母體-子代"傳代體系,利用孤雌生殖特性保證遺傳一致性。
實驗標準化:
營養控制:計算藻類碳含量,按水蚤生物量提供過量食物(表4)。

環境控制:恒溫(20-25℃)、光照周期(16小時光照:8小時黑暗)。
指標量化:
壽命:單個體隔離培養,每日記錄存活率。
生理指標:心率(顯微視頻分析)、耗氧率(微呼吸系統)、生長率(干重測量)、繁殖力(幼體計數)。
測量數據及研究意義:
藻類生物量(表2)
數據:離心法測定藻類干重(0.05-0.2 mg/ml),轉化為碳含量(干重×50%)。
意義:確保食物營養一致性,消除食物質量差異對實驗結果的干擾。
水蚤存活率
數據:每日記錄死亡個體,繪制生存曲線(對照組30-40天平均壽命)。
意義:量化環境脅迫(如毒素、溫度)對壽命的影響,評估抗衰老干預措施效果。
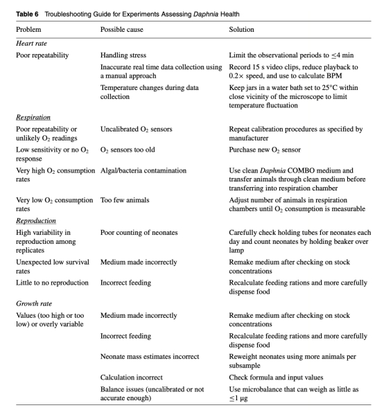
心率(BPM)(表6)

數據:顯微視頻記錄心臟搏動(正常值400 BPM),慢速播放人工計數。
意義:反映代謝活性,應激狀態下心率異常可作為早期健康預警指標。
呼吸速率
數據:Unisense微呼吸系統測量耗氧量(典型值0.3 μmol O?/mg干重/小時)。
意義:直接表征能量代謝效率,用于檢測營養限制或毒物導致的代謝抑制。
繁殖輸出
數據:記錄首次繁殖時間(7天)、窩仔數(10-20只/窩)、窩間隔(2-3天)。
意義:評估生殖健康,繁殖下降預示慢性脅迫或衰老累積效應。
結論:
成功開發可重復的水蚤培養體系,涵蓋藻類食物生產、種群維持和營養控制全流程(圖2)。

水蚤壽命和健康指標對溫度、營養敏感,標準化操作是獲得可靠數據的前提(表5-6)。

多維生理指標(心率/呼吸/繁殖)的組合評估,為衰老機制研究提供整合分析框架。
丹麥Unisense電極數據的詳細研究意義:
使用Unisense微呼吸系統(含OX-MR氧傳感器、MR-CH4呼吸室)測量水蚤耗氧率:
高精度代謝解析:
技術優勢:檢測限達nmol O?/小時/μg干重,可捕捉輕微代謝變化(如藥物干預導致的5%耗氧下降)。
操作要點:需預校準(零氧/飽和氧兩點校正),單次測量≤10分鐘防缺氧。
應激響應量化:
典型數據:正常耗氧率0.3 μmol O?/mg/h,饑餓或毒素暴露可降至0.1 μmol以下。
生態意義:耗氧變化早于存活率下降,是環境脅迫的敏感早期預警指標。
技術局限與對策:
干擾因素:微生物污染會虛增耗氧,需預清洗水蚤并更換新鮮培養基。
數據解讀:需同步測量干重(60℃烘干)以標準化為質量比速率。
應用拓展:
結合心率監測:揭示代謝率與心臟功能的關聯(如心率增加但耗氧不變提示效率降低)。
毒理學研究:量化污染物對能量代謝的抑制效應,優于傳統LC50測試。